85 30th Ave ,Residential, Houston Heights для продажи & аренды
85 30th Ave для продажи & аренды




Цена $675,000.00
- Размер территории 5000
- Год постройки
- Вид на воду
- Zip 33135
- Стиль
- Парковка
- Бассейн Yes
- Статус Active
Описание
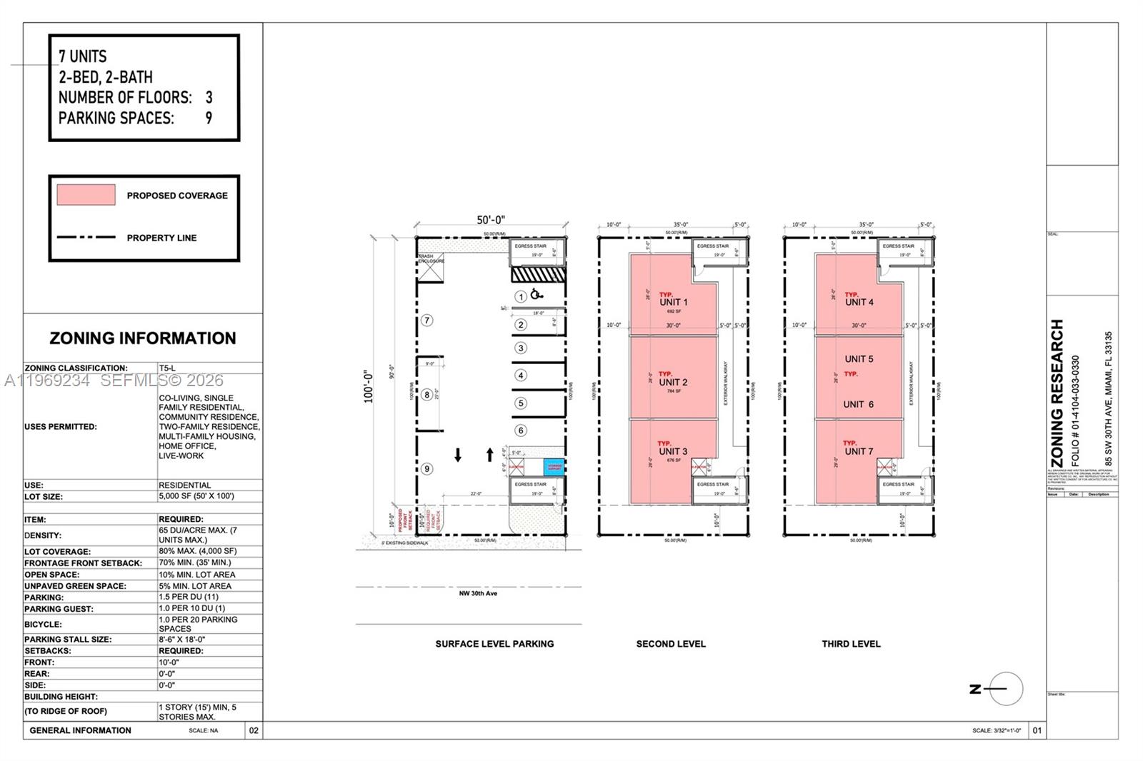
Amazing developer opportunity, 5,000 SQFT LOT, Zoned T5-L with no abutting T3 lots. The preliminary site plan shows 7 units by right with parking. 2/1 plus efficiency Single-family home on site , brand new roof. Can generate cash flow while getting approvals.
HOUSTON HEIGHTS PB 3-215 W100FT OF LOT 46 LOT SIZE 50.000 X 100
Other
Amazing developer opportunity, 5,000 SQFT LOT, Zoned T5-L with no abutting T3 lots. The preliminary site plan shows 7 units by right with parking. 2/1 plus efficiency Single-family home on site , brand new roof. Can generate cash flow while getting approvals.
City:Miami,Zoning:T5-L,List A O R:A-Miami Association of REALTORS,Tax Year:2025,Latitude:25.7715653,List Price:675000,Listing Id:A11969234,Longitude:-80.2434649,Mls Status:Active,Current Use:1:Other Usage,Postal Code:33135,Street Name:30th Ave,Coordinates:1:25.7715653,Photos Count:4,Building Name:HOUSTON HEIGHTS,Days On Market:15,Lot Size Acres:0.15,Lot Size Units:Square Feet,M I A M I R E_ Area:41,M L S Area Major:Houston Heights,On Market Date:2026-02-20,Parcel Number:01-41-04-033-0330,Property Type:Land/Boat Docks,Street Number:85,Public Remarks:Amazing developer opportunity, 5,000 SQFT LOT, Zoned T5-L with no abutting T3 lots. The preliminary site plan shows 7 units by right with parking. 2/1 plus efficiency Single-family home on site , brand new roof. Can generate cash flow while getting approvals.,County Or Parish:Miami-Dade County,Direction Faces:West,Expiration Date:2027-02-20,List Office Name:Onyx Real Estate Group Inc.,Standard Status:Active,Living Area Units:Square Feet,Major Change Type:Price Increase,Postal Code Plus4:1206,Property Sub Type:Residential,State Or Province:FL,Street Dir Prefix:SW,Subdivision Name:HOUSTON HEIGHTS,Tax Annual Amount:8165,Unparsed Address:85 SW 30th Ave, Miami FL 33135,Listing Agreement:Exclusive Right To Sell,Building Area Units:Square Feet,Leasable Area Units:Square Feet,Lot Size Dimensions:50x100,Lot Size Square Feet:5000,M I A M I R E_ Flood Zone:X,Original List Price:575000,Previous List Price:599000,Public Survey Range:41,I D X Participation Y N:1,M I A M I R E_ N A R Rules Y N:1,Syndication Remarks:Amazing developer opportunity, 5,000 SQFT LOT, Zoned T5-L with no abutting T3 lots. The preliminary site plan shows 7 units by right with parking. 2/1 plus efficiency Single-family home on site , brand new roof. Can generate cash flow while getting approvals.,Listing Contract Date:2026-02-20,Originating System I D:miamire,Public Survey Section:1,Showing Instructions:Call Listing Agent,Street Number Numeric:85,Tax Legal Description:HOUSTON HEIGHTS PB 3-215 W100FT OF LOT 46 LOT SIZE 50.000 X 100,M I A M I R E_ Current Price:675000,Public Survey Township:41,M I A M I R E_ Municipal Code:0,Originating System Name:Miami Association of REALTORS?,M I A M I R E_ Internet Remarks:Zoned T5-L, The preliminary site plan shows 7 units with parking. 3/2 SFR on-site with efficiency. Can generate cash flow while getting approvals.,M I A M I R E_ Parcel Number M L X:0330,M I A M I R E_ Showing Time Flag:1,M I A M I R E_ Street View Param:1$25.771534$-80.243448$36.28$13.33$1.00$EsgCfCgYdvtysYSrMh-DCQ,Contract Status Change Date:2026-02-20,Internet Address Display Y N:1,Internet Consumer Comment Y N:1,M I A M I R E_ Ok To Advertise List:No,M I A M I R E_ Subdivision Number:33,M I A M I R E_ Agent Alternate Phone:305-220-1808,Internet Entire Listing Display Y N:1,M I A M I R E_ Address Internet Display:85 SW 30th Ave,Internet Automated Valuation Display Y N:1,
- Цена $675,000.00
- Цена изменилась: 2026-03-07
- Размер территории кв.футов
- Цена за кв.фут $
- Год постройки
- Вид на воду
- Вид
- Бассейн Yes
- Стиль
- Cтроительство
- Парковка
- Тип настила
- Тип объекта Land/Boat Docks
- Статус Active
- Опубликовано 2026-03-07
- Активен в листинге (дней) 41
- Меблированный
- City Miami
- Zip 33135
- State Florida
- Subdivision
- Development Name HOUSTON HEIGHTS
- HOA Fees
- Taxes 8165
- Taxes Year 2025
En
Ru
Es